Back to Search
800 Reigel Ct, Moffat, CO 81143
800 Reigel Ct, Moffat, CO 81143
800 Reigel Ct, Moffat, CO 81143
800 Reigel Ct, Moffat, CO 81143
800 Reigel Ct, Moffat, CO 81143
800 Reigel Ct, Moffat, CO 81143

800 Reigel Ct Moffat, CO 81143

$210,000

ACTIVE
Beds
Baths
Sqft
Acres
1.07
Year
Days on Site
21
Property Type
Land
Sub Type
Improved Land
Per Square Foot
$210,000
Date Listed
Apr 9, 2026

Description of 800 Reigel Ct, Moffat, CO 81143

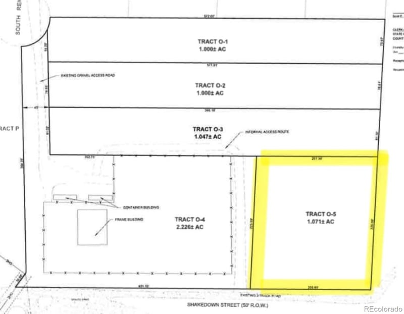
Listing details for 800 Reigel Ct, Moffat, CO 81143 : Own a piece of Colorado's Area 420, specifically designated for legal commercial cannabis cultivation. This prime land is situated within a commercial cannabis park, perfect for both indoor and outdoor growing, benefiting from abundant sunshine. With no building codes to restrict your plans, access to electricity, and a reliable clean water supply, you'll be part of a thriving community of growers. If you're looking for more than one acre, there are three additional tracts available that link to this one. The plat map is currently preliminary and can be tailored to align with the vision of the first investor before finalizing and recording the lots. This offers a unique opportunity to customize your investment to suit your specific needs and goals.
Listing Updated : 04-09-2026 at 10:31 AM MDT
Listing Provided By : Keri Gage, 719-539-6682, Century 21 Community First
Source :

recolorado as distributed by MLS GRID, MLS#: REC7122159

Home Worth Check

Interested in 800 Reigel Ct, Moffat CO, 81143?

By proceeding, you consent to receive calls, texts and voicemails at the number you provided (may be recorded and may be autodialed and use prerecorded and artificial voices), and email, from The Kenna Real Estate Group about your inquiry and other home-related matters. Msg/data rates may apply. This consent applies even if you are on a do not call list and is not a condition of any purchase.

Location of 800 Reigel Ct, Moffat, CO 81143

Google Map
Mortgage Calculator
Listing Price
Down Payment
Interest Rate

Schools Near 800 Reigel Ct, Moffat, CO 81143

Homes Similar to 800 Reigel Ct, Moffat, CO 81143

Thinking of Moving? Must Reads.

Source Logo
Based on information submitted to the MLS GRID as of 2026-04-29 at 11:19 p.m. MDT. All data is obtained from various sources and may not have been verified by broker or MLS GRID. Supplied Open House Information is subject to change without notice. All information should be independently reviewed and verified for accuracy. Properties may or may not be listed by the office/agent presenting the information.

HomeMoffatMoffat 420 Annex Tract: O
What's your home worth?
Have a top local Realtor give you a FREE Comparative Market Analysis
Hear From Happy Homeowners
See how we've helped others achieve their real estate goals.
280 reviews on